Let Your Voice Be Heard
It is important for you to attend the July 13 Bristol Council meeting at 7:00PM at 10 Court Street. Please print out this guide and bring it to the Public Hearing for your reference.
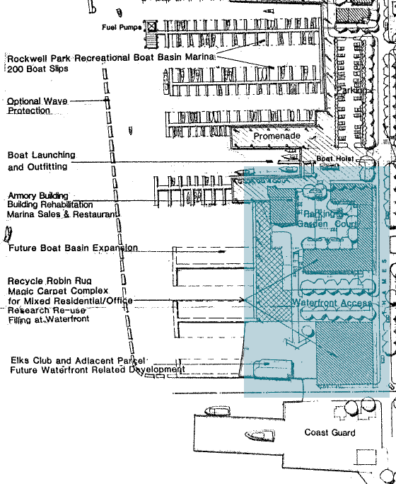
Bristol Yarn Mill Development/Robin Rug
Bristol Town Council’s July 13 consideration of Brady Sullivan Properties, LLC’s petition to change the zoning laws will rely on the Planning Board’s Decision which also recommends changes to the “Conditions” for zoning. The Planning Board’s Decision is under appeal to the Zoning Board of Appeals. Nevertheless, Town Solicitor Andy Teitz opines that the Town Council can move forward on the petition.
A vision of what is possible, from the 1982 SASAKI REPORT “Waterfront/Downtown Master Plan – Bristol, Rhode Island.” Note the expansive view-through from Thames Street to the harbor, with a tree-lined allee breaking up the brick factory monolith and a Garden Court, all contributing to public spaces that can be enjoyed by the community.
PLEASE DONATE AND/OR TAKE ACTION
FHB has joined four abutters to appeal the Planning Board decision, thanks to generous donations from members. We are asking for additional donations to the legal fund so that we can bring the appeal through to a successful conclusion. We are confident that FHB and the abutters will be successful, leading to either the overturning of the Planning Board’s decision, or the remand back to the Planning Board to follow proper procedures, including advertising another informational meeting where the public will be able to speak, and retake the vote. In addition, we ask for your help in supporting us during the Public Comment part of the meeting. You can contribute to meeting the costs of this legal action by making a donation HERE.
PLEASE TAKE THE FOLLOWING ACTION: If you would like to object to the expansion of density, exclusion of affordable housing and reduction to 28% of the original commercial space, please write down your objections, print them out and read all or portions of your letter at the July 13 Town Council Meeting @ 7:00PM at 10 Court Street. Everything that follows is provided to help you create your remarks. Address your letter as follows:
To the Honorable Town Council Chair and Members
Re: Bristol Yarn Mill/Robin Rug Development Zoning Change and Changes to Conditions Petition and Public Hearing
Describe the impact the changes to the Conditions and the Ordinances (Laws) will have on you personally and to the Town’s well-being, i.e. neighborhood density, lack of on-site affordable housing, increased noise, traffic, pollution, public safety in condensing so much traffic to one small corner of the Town, the negative impact on the new maritime center, cutting off the public from water views and use of the waterfront building, lack of enough commercial space to make the marina more connected to the community. Be as specific as possible about the impact.
Support your statement with facts from the current law and the Comprehensive Plan.
Ask the Town Council to support the community by delaying the vote or rejecting the changes.
Read all or portions of your statement at the Public Hearing on July 13 and ask the Town Council to accept your written statement for the record.
Another view of what is possible, from The 1982 SASAKI REPORT “Waterfront/Downtown Master Plan – Bristol, Rhode Island." Again, note the generous public open space with trees and plantings between the buildings, allowing view-through from Thames Street to the harbor.
Please choose any or all of the following issues to write about and speak to. You will most likely be limited to three minutes for speaking. Be succinct. Take up issues that have not yet been put into the record before you, but also, agree with points already made.
Issue 1: The Town Council must receive a recommendation from the Planning Board before acting to change Town ordinances.  
Action: The 5/12/2022 Planning Board decision is being appealed. Ask the Town Council members to delay action until the Planning Board review of the proposed ordinances. Support your recommendation with citations from current Town law:
DIVISION 2. - AMENDMENT OF ZONING PROVISIONS
Sec. 28-51. - Procedure.
“…Immediately upon receipt of such proposal, the director shall refer such proposal to the town council and the planning board for study and recommendation…”
- Planning board review. The planning board shall seek the advice of the community development department and shall report to the town council within 45 days after receipt of the proposal, giving its findings and recommendations. 
Sec. 28-410. - Appeals to the zoning board.
(b) Stay of proceedings. An appeal shall stay all proceedings in furtherance of the action appealed from, unless the officer or agency from whom the appeal is taken certifies to the board, after the appeal shall have been duly filed, that by reason of facts stated in the certificate, a stay would in the officer's or agency's opinion cause imminent peril to life or property
Issue 2: The Planning Board made recommendations without the required current Fiscal Impact Report, allowing the developer to submit it after the decision upon which it is based is made.
Action: Ask the Town Council to delay action until the information required to be included in the application is submitted and can be reviewed by the Town’s independent consultant, so that they have all the facts. It would be prudent for the Town Council to consider the new Fiscal Impact Report, after it is reviewed by an independent consultant, before voting to change the zoning laws. The recommendations of the Planning Board were made without a new fiscal impact statement. The developer said the initial fiscal impact statement that showed a loss of over $345,773 was submitted in haste just to satisfy the requirements of the applications process. Brady Sullivan says the loss to taxpayers is acceptable because the Town is getting needed housing, Taxpayers do not want to fund Brady Sullivan. You can support your recommendation with citations from the current Comprehensive Plan and Brady Sullivan submission:
 p. 180 Comprehensive Plan Goal 4. Maintain a favorable tax base. 
 Policies to achieve Goal 4
 Maintain a favorable tax base." [Page 180]
 Policies to achieve Goal 4
 Policy A. "Encourage balanced growth." Policy B. "Manage growth in concert with the fiscal capacities of the community."
p. 274 Brady Sullivan’s Complete Bristol Yarn Mill Master Plan Update: “The Town of Bristol will realize total estimated Revenues of $212,457 from
Property Taxes on an annual basis with the development of the proposed Bristol Yarn Mill. By subtracting the total expense estimate of $558,230 from the total anticipated revenue of $212,457, the Town of Bristol will actually realize a Net Revenue Loss of $345,773 with regard to expenses and revenues on an annual basis with the full development at Bristol Yarn Mill. However, the Town will be adding much needed housing and housing alternatives for present and future resident of Bristol.”
Issue 3: The Planning Board made recommendations without the required updated Traffic Study allowing the developer to submit one after the decision upon which it is based is made.
Action: Ask the Town Council to delay action until the information required to be included in the application is submitted and can be reviewed by the Town’s independent consultant, so that they have all the facts. The Traffic Study Report submitted with the application is outdated, being from 2008 and was done on the day after a major snowstorm of over 1 foot of snow. It is not pertinent to today’s traffic, nor the time of year when the area would be most impacted with additional traffic, including the new marina traffic and parking pressure the new marina brings to the area. You can support your recommendation with citations from the current Comprehensive Plan and Brady Sullivan submission:
 p. 44 Brady Sullivan’s Complete Bristol Yarn Mill Master Plan Update:
 “Traffic volumes and distribution patterns may have changed since the 2007 study. As a result, a capacity analysis with current data will be required to assess possible transportation demand management tactics and to determine if offsite improvements will be required to mitigate the impact of the proposed development.”
Per the Comprehensive Plan
(1) Minimizing traffic congestion and maximizing energy savings by reducing the number and length of automobile trips and by encouraging design friendly to pedestrians;
(7) Protecting the character of the area by encouraging development or redevelopment that does not generate excessive vehicular activity, noise or other nuisances, and which may jeopardize the continuing occupation and use of the neighboring properties.
p.242 Improve pedestrian safety in the Downtown by traffic calming techniques, and better delineation of the crosswalks with signage indicating that the law requires drivers to stop.
Issue 4: The Town Council cannot enact any Zoning Laws that do not conform with the Comprehensive Plan.
Action: Quote several instances in the Comprehensive Plan where the changes do not agree. (examples: density, affordable housing inclusion, commercial space) as included here or add your own from the Comprehensive Plan.
Issue 5: Keep the current Laws (also called Ordinances or Code) that are based on the Comprehensive Plan. The only part of the Zoning Code (Ordinance) that can be changed at this meeting is the advertised Zoning Section 28-284.
Action: Cite laws in other Sections of the Zoning Code that will not agree with Brady Sullivan’s proposed changes to the laws.
Sec. 28-112. - Commercial and industrial zones
Sec. 28-3. - Establishment of zoning districts.
Sec.. 38-6. - Compliance with chapter.
(b) Dimensional conformance. No new lot shall be created nor shall an existing lot be reduced or diminished except in conformance with the dimensional requirements of this chapter. Nor shall the number of dwelling units or occupancy thereon be increased in any manner except in conformance with the dimensional requirements of this chapter.
Sec. 28-184. - Uses requiring a variance or special use permit. [Must go to the Zoning Board]
A use set forth in section 28-182, when requiring a variance or special use permit, shall be subject to development plan review prior to and following the hearing by the zoning board (pursuant to RIGL § 45-23-61A), other than as excepted in section 28-185.
Sec28-366. - Criteria for approval.
In approving an application for a comprehensive permit, the local review board shall make positive findings, supported by legally competent evidence on the record which discloses the nature and character of the observations upon which the fact finders acted, on each of the following standard provisions, where applicable:
(1) The proposed development is consistent with local needs as identified in the local comprehensive community plan with particular emphasis on the community's affordable housing plan and/or has satisfactorily addressed the issues where there may be inconsistencies.
(2) The proposed development is in compliance with the standards and provisions of the municipality's zoning ordinance and subdivision regulations, and/or where expressly varied or waived local concerns that have been affected by the relief granted do not outweigh the state and local need for low and moderate income housing.
(3) All low and moderate income housing units proposed are integrated throughout the development; are compatible in scale and architectural style to the market rate units within the project; and will be built and occupied prior to, or simultaneous with the construction and occupancy of any market rate units.
Issue 6: Affordable Housing must be at 20% and inclusive. The Planning Board Decision accepting 3 built units of affordable housing located off-site and payment-in-lieu for all additional affordable units does not comport with current Town Code which requires 20% affordable housing units either built on-site, off-site or through donation of property and does not provide any option for payment-in-lieu.
Action: Cite laws in the Zoning Code that will not agree with Brady Sullivan’s proposed changes to the laws.
Sec. 28-370. - Inclusionary zoning.
(b) Affordability requirement. For all applicable projects as defined in subsection 28-370(a), at least 20 percent of the units on site must qualify as affordable housing, as defined by this article. Fractions of a lot or dwelling unit shall be rounded up to the nearest whole number.
Sec. 28-367. - Criteria for denial.
“The local planning board may deny the request for any of the following reasons:
(2) The proposal is not consistent with local needs, including, but not limited to, the needs identified in an approved comprehensive plan, and/or local zoning ordinances and procedures promulgated in conformance with the comprehensive plan. Local zoning and land use ordinances, requirements, or regulations are consistent with local needs when imposed by the town council after comprehensive hearing, and, the town either has existing low or moderate income housing units in excess of ten percent of the year-round housing units reported in the latest decennial census of the town, or the town has promulgated zoning or land use ordinances, requirements, and regulations to implement a comprehensive plan which has been adopted and approved pursuant to state law, and the housing element of the comprehensive plan provides for low and moderate income housing in excess of ten percent of the year-round housing units.
Issue 7: The proper venue for the Petitioner to request changes is to seek a variance from the Zoning Board to meet the standards required by claims of hardship. Seeking, instead, to change the Town Code circumvents the petitioner’s responsibility to meet the standards of hardship that are required by law when a developer seeks relief. The Petition refers to hardship.
Action: Ask the Town Council to direct the petitioner to file a variance instead of a change to the law, as the Zoning Code provides. Cite laws in the Zoning Code to support your recommendation:
Sec. 28-112. - Commercial and industrial zones. Table C Dimensional Table (footnote)
** Structures in the flood zone over 35 feet above grade require a special use permit.
Sec. 28-184. - Uses requiring a variance or special use permit.
ARTICLE XI. - ADMINISTRATION, ENFORCEMENT AND RELIEF
Sec. 28-409. - Variances and special use permits.
Application. An application for relief from the literal requirements of this chapter because of hardship, or an application for a special use permit may be made by any person, group, agency or corporation, provided that the owner or owners of the subject property must join in any application by filing with the director of community development an application describing the request and supported by such data and evidence as may be required by the board and set forth in its written rules of procedure.
Issue 8: Be ready for any changes to the Zoning Laws related to Robin Rug and the parking lot across the street. The recent Public Notice allows Brady Sullivan to ask for any additional Zoning Ordinance changes during the Public Hearing and can add the expansion of the WPUD zone to the east side of Thames Street where the parking lots now stand. Abutters within 200 feet of that area east of Thames Street were sent certified letters to alert them to a possible Zoning Change. An expansion of the WPUD Zone on the east side of Thames Street would allow the developer to build a new building with unlimited density.
Action: Be sure to attend the Public Hearing on July 13 @ 7:00PM at 10 Court Street. Object even if someone before you has already made your point. The more people who speak in opposition, the better it is if the Town Council Vote is appealed. Write out your statement and ask the Town Council to receive it in the record.
 
             
            